Société

Etats-Unis : Les touristes de Key West (Floride) priés de quitter l'île avant l'arrivée de l'ouragan Irma en catégorie maximale

Publié par DKnews le 06-09-2017, 15h11 | 40
|

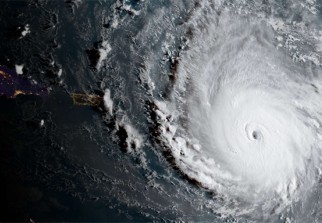
Les touristes à Key West, une station balnéaire très prisée de l'archipel des Keys (sud de la Floride), ont été priés de quitter l'île par un ordre d'évacuation décrété mardi par les autorités locales avant l'arrivée attendue de l'ouragan Irma, en catégorie maximale 5.

Les touristes devraient commencer à quitter l'île mercredi matin et l'ordre d'évacuation sera rapidement étendu aux habitants, ont précisé les autorités du comté de Monroe dans un communiqué. Selon les prévisions, Irma pourrait atteindre le sud de la Floride dès vendredi.

«Nous disons avec force aux gens d'évacuer. Vous ne pouvez pas vous permettre de rester sur une île avec un ouragan de catégorie 5 qui arrive sur vous», a précisé Martin Senterfitt, directeur du centre des opérations d'urgence du comté de Monroe.

La majeure partie de l'archipel de Keys se trouve seulement entre 1 et 1,5 mètre au-dessus du niveau de la mer, a-t-il ajouté. L'ouragan Irma pourrait provoquer une montée des eaux de plus de trois mètres dans les Iles-sous-le-Vent et les îles Vierges, selon le Centre américain des ouragans (NHC).

Cette tempête «extrêmement dangereuse» devait atteindre les Iles-sous-le-Vent mardi en fin de journée ou mercredi. Irma se déplace vers l'ouest avec des vents de près de 295km/h, selon le NHC. Trois hôpitaux de l'archipel des Keys ont commencé à organiser l'évacuation de leurs patients et toutes les écoles seront fermées à partir de mercredi.

Les établissement scolaires seront également fermés jeudi et vendredi plus au nord dans le comté de Miami-Dade et d'autres ordres d'évacuation pourraient suivre, ont indiqué les autorités locales.

Etat d'urgence décrété pour la Floride, Porto Rico et Iles Vierges

Le président des Etats-Unis Donald Trump a déclaré mardi soir l'état d'urgence dans plusieurs territoires américains -Floride, Porto Rico et Iles Vierges- situés sur la route de l'ouragan Irma, ce qui permet de débloquer des moyens supplémentaires.

Selon le dernier bulletin d'information à 00H00 GMT du Centre américain des ouragans (NHC), les vents d'Irma soufflaient toujours à 295 km/h soit en catégorie 5, la plus élevée de l'échelle Saffir-Simpson. Les météorologues ont mis en garde contre «un ouragan potentiellement catastrophique», pressant pour une accélération des préparatifs en vue de son arrivée.

Ces déclarations d'état d'urgence, annoncées dans trois communiqués distincts de la Maison Blanche, «permettent au ministère de la Sécurité intérieure et à l'Agence fédérale des situations d'urgence (Fema) de coordonner tous les efforts d'assistance en cas de catastrophe».

«Cette action va soulager les difficultés et les souffrances que la situation d'urgence pourrait faire endurer à la population locale» et fournir l'aide nécessaire «pour assurer la santé et la sécurité publiques», a poursuivi la Maison Blanche.

Le gouverneur de Porto Rico, Ricardo Rossello Nevares, avait demandé cette déclaration afin de pouvoir débloquer des fonds.L'ouragan devrait atteindre les Iles-sous-le-Vent mardi soir ou mercredi matin, puis se diriger vers les Iles Vierges avant de passer près ou de toucher le nord de Porto Rico mercredi soir. La République dominicaine, Haïti, la Guadeloupe ont également été mis en alerte.

|
Haut de la page

CHRONIQUES

  • Walid B

    Grâce à des efforts inlassablement consentis et à une efficacité fièrement retrouvée, la diplomatie algérienne, sous l’impulsion de celui qui fut son artisan principal, en l’occurrence le président de la République Abdelaziz Bouteflika, occupe aujour

  • Boualem Branki

    La loi de finances 2016 n’est pas austère. Contrairement à ce qui a été pronostiqué par ‘’les experts’’, le dernier Conseil des ministres, présidé par le Président Bouteflika, a adopté en réalité une loi de finances qui prend en compte autant le ress

  • Walid B

    C'est dans le contexte d'un large mouvement de réformes sécuritaires et politiques, lancé en 2011, avec la levée de l'état d'urgence et la mise en chantier de plusieurs lois à portée politique, que ce processus sera couronné prochainement par le proj

  • Boualem Branki

    La solidité des institutions algériennes, la valorisation des acquis sociaux et leur développement, tels ont été les grands messages livrés hier lundi à Bechar par le ministre de l'Intérieur et des Collectivités locales Nouredine Bédoui.

  • DK NEWS

    Le gouvernement ne semble pas connaître de répit en cette période estivale. Les ministres sont tous sur le terrain pour préparer la rentrée sociale qui interviendra début septembre prochain.

  • Walid B

    Dans un contexte géopolitique régional et international marqué par des bouleversements de toutes sortes et des défis multiples, la consolidation du front interne s'impose comme unique voie pour faire face à toutes les menaces internes..

  • Walid B

    Après le Sud, le premier ministre Abdelmalek Sellal met le cap sur l'Ouest du pays où il est attendu aujourd'hui dans les wilayas d'Oran et de Mascara pour une visite de travail et d'inspection.